• 今天是:
您当前所在的位置: 首页 » 政务公开 » 重点领域公开 » 重大建设项目 » 征收土地

息烽县人民政府征收土地公告(息府公告〔2025〕3号)

字体: 打印本页 关闭本页 视力保护色:
  • 索引号: 000014349/2025-993438
  • 信息分类: 征收土地
  • 发布机构:
  • 发文日期:
  • 文号:
  • 是否有效:
  • 信息名称: 息烽县人民政府征收土地公告(息府公告〔2025〕3号)

按照土地管理法律法规规定,为了公共利益需要,现将本次征收土地工作有关事项公告如下:

一、征地批准机关

贵阳市人民政府

二、征地批复文件名称

《关于息烽县2024年度第五批次城镇建设用地的批复》(黔府(贵阳)用地函〔2025〕18号)

三、批准征地时间

2025年7月4日。

四、征收土地用途

本次批准征收土地的用途:居住用地、公用设施用地、交通运输用地、公共管理与公共服务用地。

五、征收范围

息烽县西山镇林丰村、鹿窝镇鹿龙村、温泉镇温泉村、小寨坝镇盘脚营村、永靖镇后坝村、新萝村、永阳街道下阳朗村、流长镇新中村(涉及土地面积3.0146公顷,其中集体农用地2.7366公顷、集体建设用地0.2780公顷)。具体征收范围以征地范围图为准。

六、征地补偿安置方式

按照息烽县人民政府关于息烽县2024年度第五批次城镇建设用地征地补偿安置方案执行。

七、征收土地补偿费用以及被征地农民社会保障等费用的支付方式和期限

已达成征地补偿安置协议的,自本征收土地公告之日起3个月内,以货币安置和社保安置方式,足额支付土地补偿费、安置补助费以及农村村民住宅、其他地上附着物和青苗等的补偿费用,并落实被征地农民社会保障费用。

个别未达成征地补偿安置协议的,本府将作出征地补偿安置决定,并依法组织实施。

八、对征地行为不服的救济方式和申请期限

本次征收土地范围内的土地所有权人、使用权人对《关于息烽县2024年度第五批次城镇建设用地的批复》(黔府(贵阳)用地函〔2025〕18号)不服的,按照《中华人民共和国行政复议法》的规定,可以自公告期限届满或者应当知道征地批复之日起60日内向贵阳市人民政府申请行政复议。

九、公告期限

自2025年7月17日起至2025年8月16日止(30天)。

特此公告。

附件:1.关于息烽县2024年度第五批次城镇建设用地的批复(黔府(贵阳)用地函〔2025〕18号)

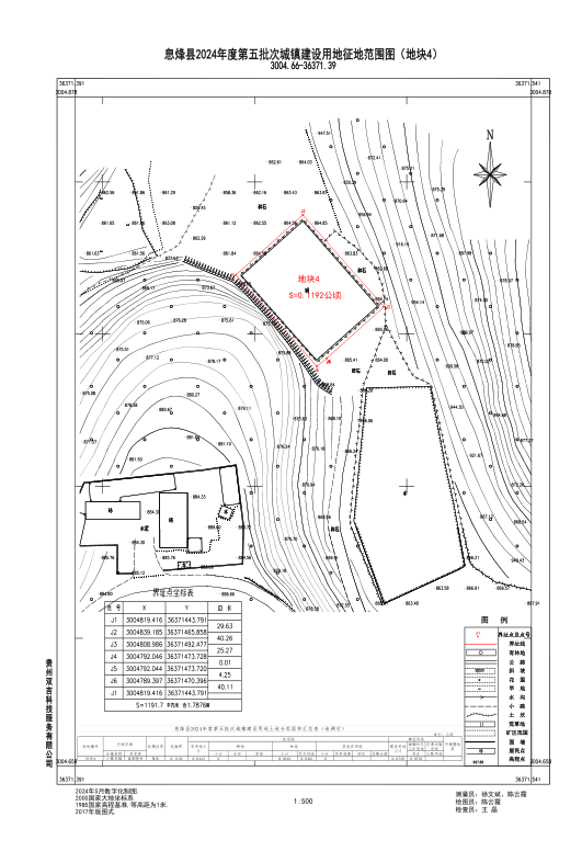
2.征地范围图

3.息烽县人民政府关于息烽县2024年度第五批次城镇建设用地用地征地补偿安置方案

2025年7月17日

附件1

关于息烽县2024年度第五批次城镇建设用地的批复(黔府(贵阳)用地函〔2025〕18号)

息烽县人民政府:

你县《关于申请息烽县2024年度第五批次城镇建设用地农用地转用和土地征收的请示》(息府报〔2025〕18号)收悉。业经省人民政府授权和委托,现批复如下:

一、原则同意你县所报的农用地转用方案和土地征收申请,将息烽县西山镇林丰村、鹿窝镇鹿龙村、温泉镇温泉村、小寨坝镇盘脚营村、永靖镇后坝村、新萝村、永阳街道下阳朗村、流长镇新中村的集体土地的集体农用地2.7366公顷(耕地2.1273公顷、林地0.2258公顷、其他农用地0.3835公顷、集体建设用地0.2780公顷)转为建设用地并办理土地征收手续,另征收集体建设用地0.2780公顷。

以上总计批准建设用地3.0146公顷,其中新增建设用地2.7366公顷。

二、你县要严格依法履行土地征收批后实施程序,依据国家政府信息公开相关规定,切实做好土地征收信息公开工作;按照报批的土地征收申请、国家和省市征收补偿有关规定,及时足额支付补偿费用,落实安置措施,妥善解决好被征地农民的生产和生活,保证原有生活水平不降低,长远生计有保障。征地补偿安置不落实的,不得动工用地;依法完成土地征收后,不动产登记机构依此办理集体土地所有权注销或变更登记。

三、你县要加强土地供应管理,按照批准的建设用地规模和用途。严格执行国家产业政策、供地政策和土地使用标准,从严格控制各类建设项目用地规模,节约集约利用土地。

四、你县及有关单位要按照农用地转用方案,做好补充耕地后期管护工作,严格落实耕地保护责任,依法对建设所占用耕地耕作层的土壤利用作出合理安排。

五、你县及有关单位要及时做好建设用地批后实施征收、供应和利用等各项备案工作。

2025年7月14日

(此件公开发布)

抄送:国家自然资源督察武汉局,财政部贵州监管局。

省自然资源厅,省发展改革委,省财政厅,省住房城乡建设厅,省农业农村厅,省林业局,省粮食和储备局,省税务局。

市发展和改革委员会、市财政局、市税务局。

息烽县自然资源局。

(共印20份,其中电子公文15份)

附件2

征地范围图

附件3:

息烽县人民政府关于息烽县2024年度第五批次城镇建设用地征地补偿安置方案

为保证息烽县2024年度第五批次城镇建设用地征地工作的顺利进行,切实维护被征地农民的合法权益,依据《中华人民共和国土地管理法》及《土地管理法实施条例》等有关法律法规规定,结合我县实际,制定本征地补偿安置方案。

一、征地补偿安置方案编制情况

息烽县2024年度第五批次城镇建设用地征地补偿安置方案根据有关法律法规和政策,结合我县征地实际情况,妥善安置被征地农民、切实维护被征地农民的合法权益、确保项目顺利实施的原则编制。

二、征地补偿标准原则

(一)依照法律现行征地补偿政策原则

征地补偿标准严格按照《中华人民共和国土地管理法》《贵州省土地管理条例》等法律法规和政策的有关规定执行。征地补偿标准严格按照《市人民政府关于公布实施征地区片综合地价标准的通知》(筑府发〔2023〕26号)文件的标准执行。

(二)公开、公平、公正原则

对征地补偿标准、征地数量、征地类别、征地用途等按《征地公告办法》,在被征地村进行公告,严格执行“两公告、一登记”制度。

三、征地补偿范围

息烽县2024年度第五批次城镇建设用地征地补偿范围包括项目建设占地、附属设施和配套设施用地。

四、征地补偿

征地补偿标准严格按照《市人民政府关于公布实施征地区片综合地价标准的通知》(筑府发〔2023〕26号)文件的标准执行。

(一)土地补偿费标准

第一区片为永靖镇、西山镇、小寨坝镇和永阳街道:耕地为45600元/亩的40%,即18240元/亩;耕地以外的其他农用地和建设用地为20520元/亩的40%,即8208元/亩;未利用地为9120元/亩。

第二区片为温泉镇、九庄镇、石硐镇、流长镇、鹿窝镇、养龙司镇和青山苗族乡:耕地为44400元/亩的40%,即17760元/亩;耕地以外的其他农用地和建设用地为19980元/亩的40%,即7992元/亩;未利用地为8880元/亩。

(二)安置补助费标准

第一区片为永靖镇、西山镇、小寨坝镇和永阳街道:耕地为45600元/亩的60%,即27360元/亩;耕地以外的其他农用地和建设用地为20520元/亩的60%,即12312元/亩;未利用地无安置补助费。

第二区片为温泉镇、九庄镇、石硐镇、流长镇、鹿窝镇、养龙司镇和青山苗族乡:耕地为44400元/亩的60%,即26640元/亩;耕地以外的其他农用地和建设用地为19980元/亩的60%,即11988元/亩;未利用地无安置补助费。

支付给被征地农民的部分为征地区片综合地价的92%。

(三)青苗补偿费标准(耕地)

青苗补偿标准按照《息烽县人民政府关于公布实施土地征收青苗补偿标准(试行)的通知》(息府发〔2021〕9号)文件执行,即1900元/亩。

(四)地上附着物经有关各方现场确认后根据有关规定据实补偿。

五、迁坟补偿标准

迁坟补偿标准按照《息烽县房屋征收局关于印发〈息烽县征地拆迁中部分地上附属设施补偿〉的通知》(息房征字〔2018〕1号)文件制定的补偿标准执行。其中经营性公墓、村级公墓及其他特殊装饰坟经评估后按照评估价补偿。迁出坟墓的安葬地按照民政部门的规定自行落实。

六、林木补偿标准

林木补偿标准参照《县人民政府关于对贵阳经金沙至古蔺(黔川界)高速公路息烽段土地及土地上附属设施征收安置补偿实施方案的批复》(息府函〔2020〕42号)中林木补偿标准执行。

七、其他补偿

涉及其他项目的补偿按照国家相关规定执行。

八、社保安置

对符合社保安置条件的被征地农民,按照《市人民政府印发关于被征地农民社会养老保险的意见的通知》(筑府发〔2018〕29号)文件要求及相关规定执行。

九、征地补偿资金的管理、使用及兑付方式

息烽县2024年度第我五批次城镇建设用地征地所有资金纳入征地补偿专门账户,专项用于该项目征地补偿工作。

征地补偿费已缴存到县级国库的,由县级国库拨付到县土地矿产资源储备中心征地补偿专户。征地补偿费涉及农户的货币补偿部分直补农户,由银行直接打入被征地农户账户。

附件:息烽县征用各类土地补偿标准明细表

2025年2月18日

附件

息烽县征用各类土地补偿标准明细表

区片编号

区域范围

征地类型

区片综合地价补偿标准(元/亩)

青苗补偿标准(元/亩)

被征地农户合计补偿标准(元/亩)

息烽-1

永靖镇、西山镇、小寨坝镇、永阳街道

耕地

45600

1900

43852

耕地以外的其它农用地和建设用地

20520

0

18878.4

未利用地

9120

0

8390.4

息烽-2

九庄镇、石硐镇、流长镇、鹿窝镇、青山苗族乡、温泉镇、养龙司镇

耕地

44400

1900

42748

耕地以外的其它农用地和建设用地

19980

0

18381.6

未利用地

8880

0

8169.6

注:以上补偿标准的计算依据为筑府发〔2023〕26号文件,支付给被征地农民的部分为征地区片综合地价的92%。

扫一扫在手机打开当前页面

关于我们|联系我们|网站地图|网站帮助|网站声明|网站年报

主办单位:息烽县人民政府办公室 联系方式:0851-87721549   地址:息烽县永阳街道县府路27号2号楼

息烽县人民政府版权所有 黔ICP备10201081号 公安备案号 52012202006106

技术支持:贵州多彩博虹科技有限公司 网站标识码:5201220001